万益资讯网
破风战骑驰沙场的文章
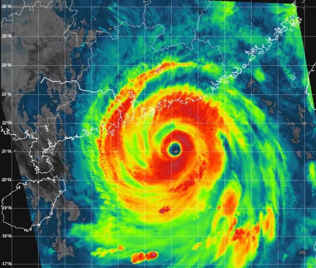
台风“博罗依”存在近岸快速增强,28日可能以强台风级擦过海南岛南部近海!今天(2
社会
2025-09-26 21:51
今年以来共有5个台风登陆广东,9月秋台风占有3个,最强可达13级(40米/秒)!
社会
2025-09-26 17:29
台风“博罗依”巅峰强度可达14级,28日将掠过或登陆海南岛南部沿海!今天(26日
社会
2025-09-26 13:09
台风“桦加沙”登陆强度仅有13级,20号台风“博罗依”未来路径趋向华南沿海!今天
社会
2025-09-25 00:16
台风“博罗依”巅峰强度可达12级,未来路径可能趋向海南岛南部沿海!今天(24日)
社会
2025-09-24 17:59
台风“桦加沙”减弱至15级,即将在广东阳江一带沿海登陆!今天(24日)下午14时
社会
2025-09-24 16:39
超强台风“桦加沙”距离广东阳江不到130公里,将于今天傍晚登陆阳江至湛江一带沿海
社会
2025-09-24 12:51
台风“桦加沙”强度维持16级,距离广东阳江不到260公里!今天(24日)早晨5时
社会
2025-09-24 07:40
今年20号台风“博罗依”生成,未来路径趋向海南岛!超强台风“桦加沙”还没有登陆,
社会
2025-09-24 06:35
台风“桦加沙”最后一次加强,最大风力仍然维持16级!据中央气象台预报显示,24日
社会
2025-09-24 02:10
台风“桦加沙”减弱至16级,可能以超强台风16级逼近广东珠三角!今晚(23日)1
社会
2025-09-23 20:15
台风“桦加沙”距离广东不到600公里,可能以强台风级登陆广东西部!今天(23日)
社会
2025-09-23 14:10
台风“桦加沙”维持17级进入南海,可能以超强台风级登陆广东西部!23日凌晨,台风
社会
2025-09-23 04:14
台风“桦加沙”减弱至17级,基本锁定登陆广东深圳到徐闻一带沿海!今晚(22日)2
社会
2025-09-22 22:12
台风“桦加沙”强度仍维持17级以上,较大可能登陆江门至湛江一带沿海!今天(22日
社会
2025-09-22 16:37
台风“桦加沙”顺利完成眼壁置换,可能以超强台风16级登陆广东中西部!今天(22日
社会
2025-09-22 12:51
台风“桦加沙”的强度上调至65米/秒,巅峰强度与去年台风“摩羯”不相伯仲!据中央
社会
2025-09-22 05:10
台风“桦加沙”的路径再次西调,后期不排除趋向海南岛东北部一带沿海!今晚(21日)
社会
2025-09-22 02:10
台风“桦加沙”已达到巅峰强度17级以上,24日较大概率登陆广东西部一带沿海!今晚
社会
2025-09-22 00:23
台风“桦加沙”已达到17级,24日较大概率登陆广东及影响海南岛!过去12小时,台
社会
2025-09-21 15:06
第一页
下一页
破风战骑驰沙场
破风战骑驰沙场
热门分类
推荐
热榜
军事
NBA
体育
社会
明星八卦
娱乐
财经
科技
汽车
历史
国际
游戏
动漫
公益
搞笑
商业
互联网
数码
国际足球
房产
家居
时尚
科学探索
职场
育儿
股票
教育
影视
情感
热点
中国军情
武器
中国南海
中国足球
亚洲杯
科比
综合体育
CBA
投资
大咖秀
外汇
创业
风口
SUV
豪车
概念车
优惠
新能源
美国
欧洲
朝日韩
俄罗斯
孕期
街拍
婚姻
正能量